해운대 센텀 얼굴 갈색반점 기미 군집성 흑자증 치료 방법(+저색소침착)
본문
얼굴에 생기는 대표적인 갈색병변은
기미가 주요 원인입니다.
기미의 원인은 다양하지만 가장 큰 이유가
자외선에 지속적으로 노출되며 피부가
손상되었기 때문입니다.
이렇듯 기미가 얼굴 갈색병변의
가장 흔한 원인이지만 이러한 기미와 비슷한 듯
다른 갈색반점 으로 나타는 병변도 있습니다.
바로 흑자(Solar Lentigo/일광흑자)로
기미와 마찬가지고 지속적이고 장기간
자외선 노출로 발생합니다.
흑자는 기미와 비슷해 보이지만 표피에
나타나는 문제이기 때문에 진피에 색소침착이
나타나는 기미와 비교해 치료가 비교적 쉽습니다.
그러나 이러한 흑자가 집단으로 나타나는
군집성 흑자증(Agminated Lentigines)은
단순 흑자와는 발생 시기 부터 형태나 모양,
치료 방법까지 다릅니다.
------------
기미 VS 흑자 VS 흑자증 차이점 비교
이러한 특징을 고려하지 않고 치료 할 경우
각각의 증상이 더 진해지기도 하고,
치료 반응이 떨어져 효과가 잘 나타나지 않을 수
있습니다.
----------
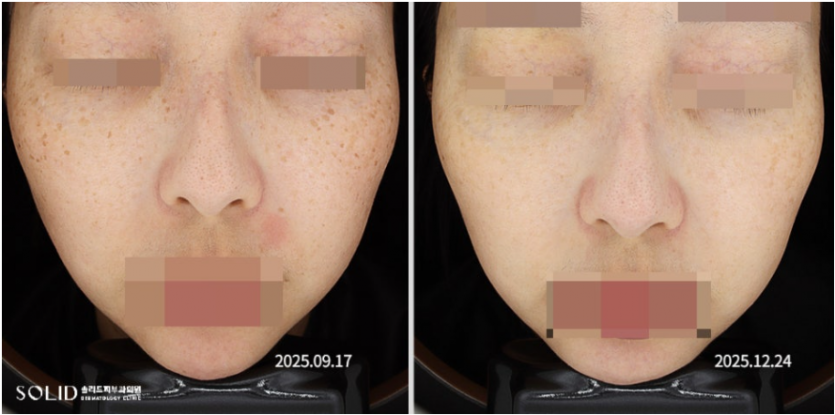
<얼굴 갈색반점 치료 전후 비교>
눈가, 눈밑, 눈꺼풀과 광대 부근 기미와 흑자증 발생
부분적으로 저색소침착 문제도 나타남
포토나레이저, 피코플러스, 포텐자, 클라리티2,
브이로어드밴스 고주파 사용 듀얼토닝 / 총 5회
얼굴 전반에 기미가 발생한 상태이며 눈주변에
양측으로 군집성 흑자증이 발생한 상태였습니다.
피부톤도 어둡고 볼 중앙에 안면홍조도
나타나는 상황이었습니다.
총 5회 치료를 통해 기미와 흑자증을 개선하고,
얼굴 전반에 나타나는 홍조(특히 양볼 홍조)가
좋아진 것을 볼 수 있습니다.
또한 피부톤 개선 및 피주탄력도 함께
좋아진 것을 볼 수 있습니다.
치료 전 광대 주변 피부를 확대해 보면
작은 흰색점처럼 보이는 저색소침착(Hypopigmentation, hypo)이 나타나고
있었습니다.
흔히 자외선에 과도하게 노출되면 색소침착이
발생하는 것으로만 알고 있는데,
자외선 노출에 의해 피부층 손상이 심한 경우
반대로 저색소침착 문제가 나타나며
하얀색 반점이 나타나는 것입니다.
자외선에 의한 저색소침착은 피부장벽이 손상되며
그로 인해 멜라닌 세포가 파괴되거나
기능이 저하된 것이 원인입니다.
치료 전후 사진 비교해 보시면 피부층 건강을
회복 시키는 치료를 통해 흰색반점 없이
피부톤이 균일하게 바뀐 것을 볼 수 있습니다.
-----------
기미와 흑자증 치료를 위한
포토나레이저, 피코플러스, 클라리티2
기미, 흑자증, 저색소침착 치료를 위해
포토나레이저(QX-MAX), 피코플러스,
포텐자, 클라리티2, 브이로어드밴스
고주파 치료까지 종합적으로 진행되었습니다.
기미는 표피부터 진피까지 멜라닌 색소가
분포되어 있고 멜라닌 세포도 활성화되어
발생합니다.
군집성 흑자증의 경우 멜라닌 세포가
표피 기저층에 과다 증식되어 있는 상태입니다.
여러 증상이 복합적으로 나타나기 때문에
한 가지 레이저만으로 치료가 어려우며
여러 레이저를 사용해 다양한 깊이와 방식으로
색소를 분해하고 멜라닌 세포의 활동을 억제
하는 등의 치료가 진행되는 것이 좋습니다.

그런점에서 포토나레이저는 멜라닌세포의
활동을 억제면서 고출력과 저출력 치료가
모두 가능하며, 색소분해 과정에서
피부 재생을 유도하는 효과가 있어
기미와 흑자증을 치료하는데 효과적입니다.

피코플러스는 피코레이저로서 피부 손상을
최소화하며 멜라닌 색소를 미세하게 분해합니다.
피부에 닿는 시간이 짧아 통증이 적고,
더 잘게 색소를 부수는 효과로 완성도 높은
치료 효과를 이끌어 낸다는 것이 장점입니다.

클라리티2 레이저는 통증과 피부 손상을
최소화 하며 755nm 파장으로 포토나와
피코플러스가 침투하지 못하는 깊이의 색소를
효과적으로 제거할 수 있습니다.
또한 색소제거 이외 피부탄력 개선이나
홍조치료에도 효과적이라 위 환자 케이스에
좋은 옵션이 될 수 있습니다.
----------
피부장벽 회복과 홍조, 탄력 개선을 위한
포텐자, 브이로어드밴스 고주파
기미나 안면홍조가 있는 경우 피부층 손상이
상당한 상태라 할 수 있습니다. 특히 위 환자는
피부층 손상으로 인한 저색소침착 까지
나타나고 있는 상황이었던 만큼 니들고주파인
포텐자와 탄력개선에 효과적인 브이로어드밴스
고주파 치료를 병행하였습니다.

포텐자는 니들고주파 방식의 장비로
매우 얇은 니들(바늘)을 피부로 침투시킨 뒤
바늘을 통해 고주파를 전달하여 홍조를 개선하고
피부 재생을 통한 탄력개선 효과를 가지고
있습니다.
팁과 고주파 전달 방식에 따라 침투 깊이와
영역을 조절할 수 있어 여드름치료 부터 모공치료,
색소, 홍조, 흉터 및 탄력개선치료 등
매우 다양한 분야에 사용됩니다.

브이로어드밴스 고주파의 경우에는
고주파에너지가 만드는 피부재생 효과가
저색소침착을 개선하는데 효과적이기에
함께 사용되었습니다.
고주파에너지가 심부열을 발생시키면
피부 자체의 탄력과 구조가 강화되며
건강한 피부 조직으로 회복하는데 효과적입니다.
뿐만 아니라 이러한 방식은 피부 표면을
태우거나 심한 자극이 발생하지 않아
염증후색소침착(PIH) 같은 부작용의 위험이
적어 피부 손상이 심한 분들의 피부층 회복치료에
좋은 방법이 될 수 있습니다.
-----------------
눈에 보이는 것이 색소문제라고 하여
색소제거에만 집중하기 보다는
피부층의 건강 회복도 중요하다는 점을
아는 것이 필요합니다.
그래야만 피부층 개선을 통해 치료 결과를
안정적으로 유지할 수 있으며, 치료 효율과
치료의 완성도를 높일 수 있기 때문입니다.
오늘도 긴 글 읽어 주셔서 감사합니다.